(267) 388-3520 team@pahouselink.com
Save
Ask
Tour
Hide
Share
$389,900
95 Days On Site

RT-47
MAURICE RIVER TWP, NJ 08348

For Sale|Land|Active
Subdivision:
PORT ELIZABETH
County:
CUMBERLAND
Listing courtesy of Coldwell Banker Excel Realty

Due to the health concerns created by Coronavirus we are offering personal 1-1 online video walkthough tours where possible.

Call Now: 215-206-1980
Is this the listing for you? We can help make it yours.
215-206-1980
RT-47RT-47RT-47RT-47
Save
Ask
Tour
Hide
Share

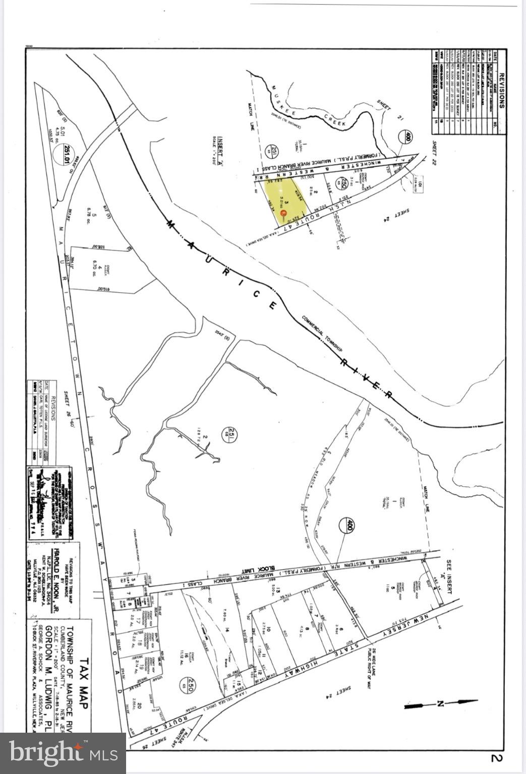
This is a High-Visibility 3.2-Acre Commercial Parcel located in Maurice River Township, NJ Discover a possible major business opportunity with this 3.2-acre property located along a main corridor leading to the Jersey Shore. Positioned in the Village Highway Business (VHB) zoning district, this site is perfectly suited for a variety of commercial and mixed-use developments. The VHB zone encourages growth and flexibility. This property enjoys excellent exposure to both local and shore-bound traffic. Its locate near established destinations such as Wawa, Dollar General and other local businesses. The high visibility and easy access make it an ideal setting for a variety of investors looking to establish a presence along a busy South Jersey route. Property is being sold “as-is, where-is”, with no representations or warranties expressed or implied by the Seller or their agent. The Seller makes no guarantee as to the condition of the property, the presence or absence of any improvements, environmental conditions, permitted uses, zoning compliance, or the suitability of the property for any particular purpose. Property Features: - 3.2-acre parcel in Maurice River Township - Zoned Village Highway Business (VHB) - Prime location along a heavily traveled route toward the shore - Suitable for a variety of business uses

Save
Ask
Tour
Hide
Share
Listing Snapshot
Price 
$389,900
Days On Site 
95 Days
Bedrooms 
N/A
Inside Area (SqFt) 
N/A
Total Baths 
N/A
Full Baths 
N/A
Partial Baths 
N/A
Lot Size 
3.2 Acres
Year Built 
N/A
MLS® Number 
NJCB2027428
Status 
Active
Property Tax 
$45.36
HOA/Condo/Coop Fees 
N/A
Sq Ft Source 
N/A
Friends & Family
Recent Activity
2 weeks agoPrice changed to $389,900
2 weeks agoListing updated with changes from the MLS®
3 months agoListing first seen on site
General Features
Acres 
3.2
Additional Property Use 
VacantCommercial
Cross Street 
6987 Harding Highway
Special Circumstances 
Standard
Water Source 
None
Zoning 
VHB
Save
Ask
Tour
Hide
Share
Community Features
MLS Area 
Maurice River Twp (20609)
School District 
MILLVILLE BOARD OF EDUCATION
Schools
School District
MILLVILLE BOARD OF EDUCATION
Elementary School
Unknown
Middle School
Unknown
High School
MILLVILLE SENIOR
Listing courtesy of Coldwell Banker Excel Realty



The real estate listing information is provided by Bright MLS is for the consumer's personal, non-commercial use and may not be used for any purpose other than to identify prospective properties consumer may be interested in purchasing. Any information relating to real estate for sale or lease referenced on this web site comes from the Internet Data Exchange (IDX) program of the Bright MLS. This web site references real estate listing(s) held by a brokerage firm other than the broker and/or agent who owns this web site. The accuracy of all information is deemed reliable but not guaranteed and should be personally verified through personal inspection by and/or with the appropriate professionals. Properties in listings may have been sold or may no longer be available. The data contained herein is copyrighted by Bright MLS and is protected by all applicable copyright laws. Any unauthorized collection or dissemination of this information is in violation of copyright laws and is strictly prohibited. Copyright © 2020 Bright MLS. All rights reserved.

Neighborhood & Commute
Source: Walkscore
Save
Ask
Tour
Hide
Share