Save
Ask
Tour
Hide
$400,000
90 Days On Site
10315 COLESVILLE ROADSILVER SPRING, MD 20901
For Sale|Land|Active
County:
MONTGOMERY
Listing courtesy of Realty ONE Group Capital
Due to the health concerns created by Coronavirus we are offering personal 1-1 online video walkthough tours where possible.
Call Now: 215-206-1980
Is this the listing for you? We can help make it yours.
215-206-1980


Save
Ask
Tour
Hide
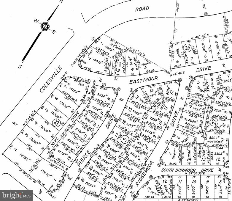
Rare Silver Spring development opportunity: Three contiguous lots (4, 5, and 6) offered together for $1,200,000. Prime R‑60‑zoned land with excellent Colesville Road frontage. Approved sediment control and HPA sketch—key sitework authorizations already in place. Building plans are not yet fully permitted, allowing buyers flexibility to customize final designs. A ready canvas for your builder to break ground.
Save
Ask
Tour
Hide
Listing Snapshot
Price
$400,000
Days On Site
90 Days
Bedrooms
N/A
Inside Area (SqFt)
N/A
Total Baths
N/A
Full Baths
N/A
Partial Baths
N/A
Lot Size
0.27 Acres
Year Built
N/A
MLS® Number
MDMC2200370
Status
Active
Property Tax
$3,270
HOA/Condo/Coop Fees
N/A
Sq Ft Source
N/A
Friends & Family
Recent Activity
| 2 months ago | Listing updated with changes from the MLS® | |
| 3 months ago | Listing first seen on site |
General Features
Acres
0.27
Additional Property Use
Residential
Special Circumstances
Standard
Zoning
R60
Save
Ask
Tour
Hide
Community Features
School District
MONTGOMERY COUNTY PUBLIC SCHOOLS
Schools
School District
MONTGOMERY COUNTY PUBLIC SCHOOLS
Elementary School
Unknown
Middle School
Unknown
High School
Unknown
Listing courtesy of Realty ONE Group Capital
The real estate listing information is provided by Bright MLS is for the consumer's personal, non-commercial use and may not be used for any purpose other than to identify prospective properties consumer may be interested in purchasing. Any information relating to real estate for sale or lease referenced on this web site comes from the Internet Data Exchange (IDX) program of the Bright MLS. This web site references real estate listing(s) held by a brokerage firm other than the broker and/or agent who owns this web site. The accuracy of all information is deemed reliable but not guaranteed and should be personally verified through personal inspection by and/or with the appropriate professionals. Properties in listings may have been sold or may no longer be available. The data contained herein is copyrighted by Bright MLS and is protected by all applicable copyright laws. Any unauthorized collection or dissemination of this information is in violation of copyright laws and is strictly prohibited. Copyright © 2020 Bright MLS. All rights reserved.
The real estate listing information is provided by Bright MLS is for the consumer's personal, non-commercial use and may not be used for any purpose other than to identify prospective properties consumer may be interested in purchasing. Any information relating to real estate for sale or lease referenced on this web site comes from the Internet Data Exchange (IDX) program of the Bright MLS. This web site references real estate listing(s) held by a brokerage firm other than the broker and/or agent who owns this web site. The accuracy of all information is deemed reliable but not guaranteed and should be personally verified through personal inspection by and/or with the appropriate professionals. Properties in listings may have been sold or may no longer be available. The data contained herein is copyrighted by Bright MLS and is protected by all applicable copyright laws. Any unauthorized collection or dissemination of this information is in violation of copyright laws and is strictly prohibited. Copyright © 2020 Bright MLS. All rights reserved.
Neighborhood & Commute
Source: Walkscore
Save
Ask
Tour
Hide
Did you know? You can invite friends and family to your search. They can join your search, rate and discuss listings with you.