Save
Ask
Tour
Hide
$850,000
83 Days On Site
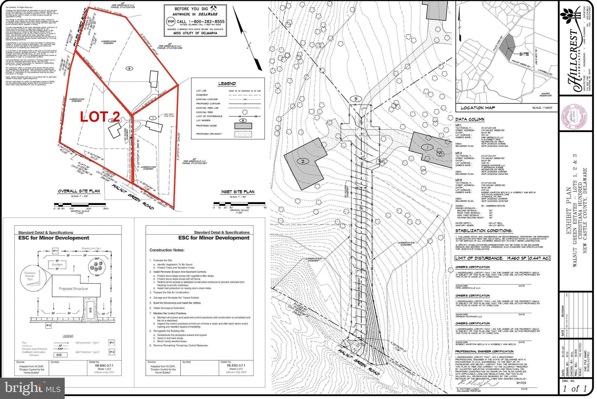
1751 WALNUT GREEN ROADWILMINGTON, DE 19807
For Sale|Land|Active
County:
NEW CASTLE
Listing courtesy of Monument Sotheby's International Realty
Due to the health concerns created by Coronavirus we are offering personal 1-1 online video walkthough tours where possible.
Call Now: 215-206-1980
Is this the listing for you? We can help make it yours.
215-206-1980



Save
Ask
Tour
Hide
Rare opportunity to own a stunning 3.5-acre parcel in one of Greenville’s most desirable locations. This property offers a serene, private setting with mature trees and endless potential to build your dream home with renowned builder, Dewson Construction Company (DCC). Conveniently located near top schools, shopping, and dining, with easy access to Wilmington and major routes. A perfect blend of natural beauty and prime location. The seller will cover the costs of access road including engineering, grading, necessary approvals, and construction of access road. See other land listing for 1741 Walnut Green Road.
Save
Ask
Tour
Hide
Listing Snapshot
Price
$850,000
Days On Site
83 Days
Bedrooms
N/A
Inside Area (SqFt)
N/A
Total Baths
N/A
Full Baths
N/A
Partial Baths
N/A
Lot Size
4.36 Acres
Year Built
N/A
MLS® Number
DENC2087956
Status
Active
Property Tax
$3,039
HOA/Condo/Coop Fees
N/A
Sq Ft Source
N/A
Friends & Family
Recent Activity
| 2 months ago | Listing updated with changes from the MLS® | |
| 3 months ago | Listing first seen on site |
General Features
Acres
4.36
Additional Property Use
Vacant
Cross Street
PYLES FORD RD
Sewer
Septic Tank
Special Circumstances
Standard
Utilities
Cable AvailableNatural Gas AvailablePhone AvailableElectricity Available
Water Source
Well
Zoning
SE
Save
Ask
Tour
Hide
Exterior Features
Lot Features
Corner Lot
Road Frontage
State Road
Community Features
MLS Area
Hockssn/Greenvl/Centrvl (30902)
School District
RED CLAY CONSOLIDATED
Schools
School District
RED CLAY CONSOLIDATED
Elementary School
Unknown
Middle School
Unknown
High School
Unknown
Listing courtesy of Monument Sotheby's International Realty
The real estate listing information is provided by Bright MLS is for the consumer's personal, non-commercial use and may not be used for any purpose other than to identify prospective properties consumer may be interested in purchasing. Any information relating to real estate for sale or lease referenced on this web site comes from the Internet Data Exchange (IDX) program of the Bright MLS. This web site references real estate listing(s) held by a brokerage firm other than the broker and/or agent who owns this web site. The accuracy of all information is deemed reliable but not guaranteed and should be personally verified through personal inspection by and/or with the appropriate professionals. Properties in listings may have been sold or may no longer be available. The data contained herein is copyrighted by Bright MLS and is protected by all applicable copyright laws. Any unauthorized collection or dissemination of this information is in violation of copyright laws and is strictly prohibited. Copyright © 2020 Bright MLS. All rights reserved.
The real estate listing information is provided by Bright MLS is for the consumer's personal, non-commercial use and may not be used for any purpose other than to identify prospective properties consumer may be interested in purchasing. Any information relating to real estate for sale or lease referenced on this web site comes from the Internet Data Exchange (IDX) program of the Bright MLS. This web site references real estate listing(s) held by a brokerage firm other than the broker and/or agent who owns this web site. The accuracy of all information is deemed reliable but not guaranteed and should be personally verified through personal inspection by and/or with the appropriate professionals. Properties in listings may have been sold or may no longer be available. The data contained herein is copyrighted by Bright MLS and is protected by all applicable copyright laws. Any unauthorized collection or dissemination of this information is in violation of copyright laws and is strictly prohibited. Copyright © 2020 Bright MLS. All rights reserved.
Neighborhood & Commute
Source: Walkscore
Save
Ask
Tour
Hide
Did you know? You can invite friends and family to your search. They can join your search, rate and discuss listings with you.